diciembre 8, 2025
WhatsApp Image 2025-02-17 at 07.10.51

🔸Ambiente caluroso a muy caluroso con temperaturas superiores a 35 grados, en zonas del litoral del Pacífico mexicano.

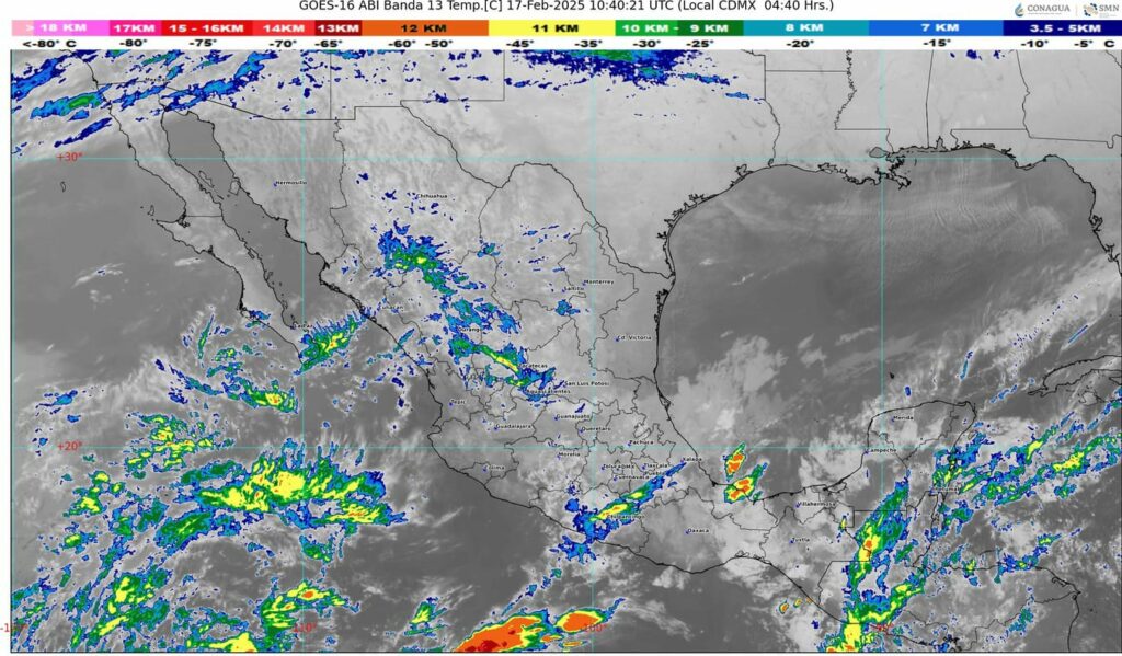
#Nacional🇲🇽 ll Buenos días ☀️ll El Servicio Meteorológico Nacional pronostica que durante este día, el frente número 27 extendido con características de estacionario sobre el centro y sur del golfo de México, interaccionará con un canal de baja presión en el sureste del país y ocasionará lluvias puntuales fuertes en el oriente, sur y sureste del territorio nacional, incluida la península de Yucatán.

Asimismo, la masa de aire ártico asociada al frente empezará a modificar sus características térmicas en el transcurso del día; sin embargo, mantendrá el evento de “Norte” con rachas de viento de 70 a 90 kilómetros por hora (km/h)en Veracruz (sur) e istmo y golfo de Tehuantepec, durante la mañana.

El ingreso de humedad del océano Pacífico, generará lluvias e intervalos de chubascos en zonas del occidente, centro y sur de la República Mexicana.

Finalmente, una circulación anticiclónica en niveles medios de la atmósfera, mantendrá ambiente caluroso a muy caluroso con temperaturas superiores a 35 grados en zonas del litoral del Pacífico mexicano, desde Sinaloa hasta Chiapas.

Deja una respuesta

Tu dirección de correo electrónico no será publicada. Los campos obligatorios están marcados con *